长者助手
您所在的位置:首页 > 适老化网站 > 公示公告

陆河县退役军人事务局关于公布陆河县螺溪镇红二师无名烈士纪念园等十处烈士纪念设施保护范围的通告

信息来源:本网 时间:2025-06-27
字体: [大] [中] [小]

为深入贯彻习近平总书记关于烈士褒扬工作重要指示精神,传承弘扬英烈精神和爱国主义精神,更好发挥烈士纪念设施褒扬英烈、教育后人的红色资源作用,根据《中华人民共和国退役军人保障法》《中华人民共和国英雄烈士保护法》《烈士褒扬条例》《烈士纪念设施保护管理办法》等有关法规,经县人民政府同意,现将陆河县螺溪镇红二师无名烈士纪念园等10处烈士纪念设施保护范围公布如下:

一、螺溪镇红二师无名烈士纪念园

地理位置:位于广东省汕尾市陆河县螺溪镇各安村

保护单位:陆河县螺溪镇人民政府

主管部门:陆河县退役军人事务局

保护红线占地面积:3067.54平方米

保护范围图:

1:螺溪镇红二师无名烈士纪念园宗地图.png

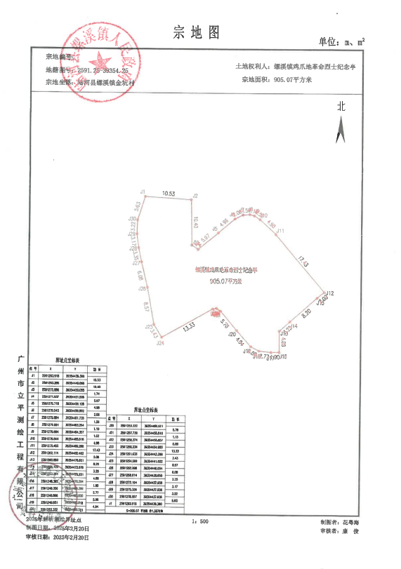
  二、螺溪镇鸡爪地革命烈士纪念亭

  地理位置:位于广东省汕尾市陆河县螺溪镇金坑村

  保护单位:陆河县螺溪镇人民政府

  主管部门:陆河县退役军人事务局

  保护红线占地面积:905.07平方米

  保护范围图:

2:螺溪镇鸡爪地革命烈土纪念亭宗地图.png

  三、河口革命烈士纪念碑

  地理位置:位于广东省汕尾市陆河县河口镇人民公园

  保护单位:陆河县河口镇人民政府

  主管部门:陆河县退役军人事务局

  保护红线占地面积:1414.55平方米

  保护范围图:

3:河口革命烈士纪念碑宗地图.jpg

  四、上护镇王汉璋烈士墓

  地理位置:位于广东省汕尾市陆河县上护镇苏坑村

  保护单位:陆河县上护镇人民政府

  主管部门:陆河县退役军人事务局

  保护红线占地面积:328.54平方米

  保护范围图:

4:上护镇王汉璋烈士墓宗地图.png


  五、上护镇硁二红军墓

  地理位置:位于广东省汕尾市陆河县上护镇硁二村

  保护单位:陆河县上护镇人民政府

  主管部门:陆河县退役军人事务局

  保护红线占地面积:340.15平方米

  保护范围图:

5:上护镇硁二红军墓宗地图.png



  六、东坑镇海陆丰人民自卫队东北大队烈士纪念碑

  地理位置:位于广东省汕尾市陆河县东坑镇高树坪村

  保护单位:陆河县东坑镇人民政府

  主管部门:陆河县退役军人事务局

  保护红线占地面积:173.77平方米

  保护范围图:

6:东坑镇海陆丰人民自卫队东北大队烈士纪念碑宗地图.png


  七、东坑镇英烈亭

  地理位置:位于广东省汕尾市陆河县东坑镇高树坪村

  保护单位:陆河县东坑镇人民政府

  主管部门:陆河县退役军人事务局

  保护红线占地面积:204.11平方米

  保护范围图:

7:东坑镇英烈亭宗地图.png


  八、水唇镇高丰莲心湖战斗革命烈士纪念碑

  地理位置:位于广东省汕尾市陆河县水唇镇高丰村

  保护单位:陆河县水唇镇人民政府

  主管部门:陆河县退役军人事务局

  保护红线占地面积:513.99平方米

  保护范围图:

8:水唇镇高丰莲心湖战斗革命烈士纪念碑宗地图.png



  九、水唇镇观天嶂革命烈士纪念碑

  地理位置:位于广东省汕尾市陆河县水唇镇石船村

  保护单位:陆河县水唇镇人民政府

  主管部门:陆河县退役军人事务局

  保护红线占地面积:158.53平方米

  保护范围图:

9:水唇镇观天嶂革命烈士纪念碑宗地图.png


  十、新田镇湖坑红军烈士墓

  地理位置:位于广东省汕尾市陆河县新田镇湖坑村

  保护单位:陆河县新田镇人民政府

  主管部门:陆河县退役军人事务局

  保护红线占地面积:292.57平方米

  保护范围图:

10:新田镇湖坑红军烈士墓宗地图.jpg

烈士纪念设施保护范围内的土地和设施受法律保护,任何组织和个人不得在烈士纪念设施保护范围内从事与纪念英烈无关或者有损纪念英烈环境和氛围的活动,不得侵占烈士纪念设施保护范围内的土地和设施,不得破坏、污损烈士纪念设施。非法侵占烈士纪念设施保护范围内的土地、设施,破坏、污损烈士纪念设施,或者在烈士纪念设施保护范围内为不符合安葬条件的人员修建纪念设施、安葬或安放骨灰或者遗体的,由县级以上人民政府退役军人工作主管部门责令改正,恢复原状、原貌。造成损失的,依法承担赔偿责任,构成犯罪的,依法追究刑事责任。 

  


陆河县退役军人事务局   

2025626日        




- -

您访问的链接即将离开“陆河县人民政府”门户网站,是否继续?